








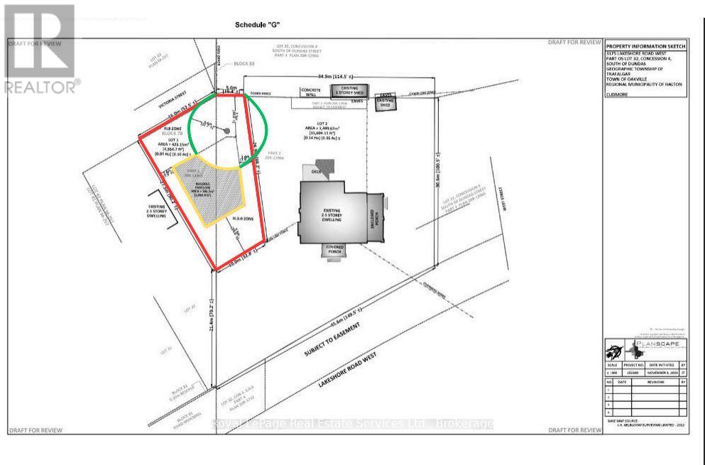
Prime building lot with 52 ft frontage on a quiet court Victoria Street just steps to the lake and Bronte Village. This 4554 square foot lot is an incredible opportunity to build your detached dream home. Build envelope of 1083.9 square feet per site plan attached. One protected oak tree at the front of the property. Lot is currently unserviced. Take this lot to your architect for your opportunity to build something special! Walking distance to Bronte Beach, Shell Park and extensive woodland and lakefront trails.