Richmond Green Secondary School 9.27/10Safety 7.6/10 — Richmond Hill
About This Property房源介绍
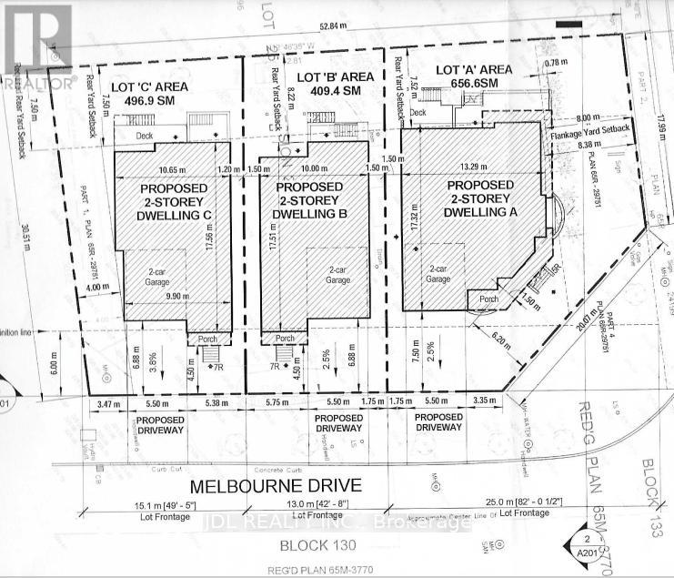
Attention Builders and Investors! 3 Individual Vacant Lots for sale! Design and Drawing of a 5000 Sqft , 3700 Sqft and 4000 Sqft detached house for each lot is available.
Property Details房源详情
MLS#N13026562
TypeVacant Land
Lot176.36 x 100.1 FT
Frontage176.4 feet
Annual Tax$10,893
BoardToronto Regional Real Estate Board
Listed2026-04-21
Features设施特色
Forced air
Natural gas
None
Municipal water
Sanitary sewer
Interested in this property?对这套房源感兴趣?
Inquiry for:咨询房源: 1061 ELGIN MILLS ROAD E, Richmond Hill · MLS# N13026562 · $3,500,000