




















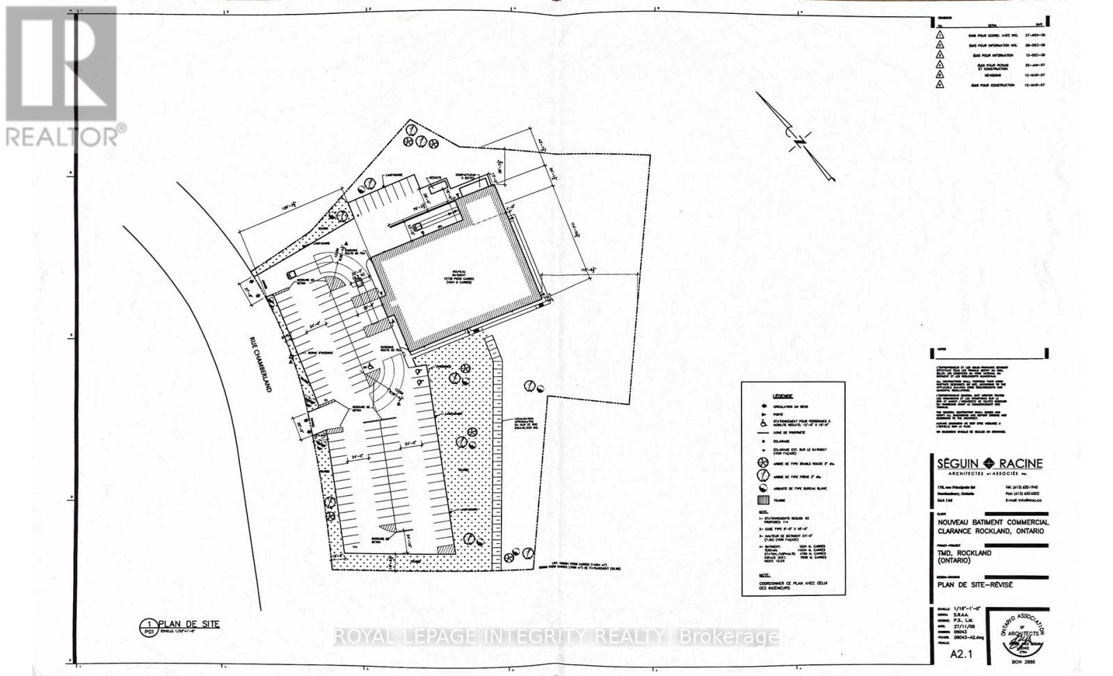
High-traffic freestanding retail/industrial building on ~2.5 acres in the growing community of Clarence-Rockland, ideally positioned to serve Ottawa and the Prescott-Russell region. The area is experiencing strong population growth, expanding residential development, and limited supply of large-format commercial space. Built in 2007, this fully serviced property features site lighting and approximately 60 paved parking spaces. The building totals 22,278 sq. ft., including 19,708 sq. ft. on the ground floor with a showroom offering an impressive 21-ft clear height and a 56-ft column span for flexible layouts. The second floor (2,569 sq. ft.) includes three offices, a boardroom, two washrooms, and a kitchenette. Additional ground floor space beneath the mezzanine includes washrooms, an electrical room, and storage.The property is equipped with a large drive-in side door and a rear loading dock. The loading ramp, originally designed for high-dock access, has been filled to grade but can be reinstated. Currently vacant, this property is ideal for an owner-user or investor. Commercial-Industrial zoning permits a wide range of uses including retail, warehouse, automotive, outdoor storage, and office. Sale subject to severance at the seller's cost to separate the adjacent 1.13-acre parcel with 55 parking spaces, also available for $999,999. The expansive parcel also offers additional development potential, capable of accommodating new retail or industrial construction, subject to approvals. The building area must be sold first, and may be sold with or without the lot.