


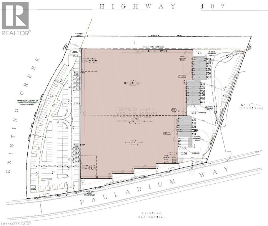
78,240 sq. ft. unit available in a new spec industrial development by Vicano Developments. Designed for efficiency and scale, the unit features 42' clear height, 8 truck-level doors, and 1 drive-in door. Excellent Highway 407 exposure provides strong signage opportunities. The property is wedll-served by nearby amenities and transit, with seamless access to Highways 403, QEW and 407. Q4 2027 delivery.