





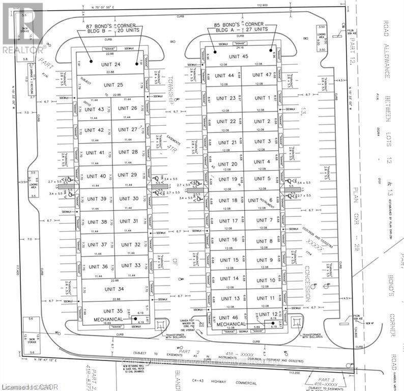
Welcome to Bonds Corner Plaza, ideally situated in Woodstock directly across from Toyota. This exceptional pre-construction commercial unit, scheduled for completion by April 30, 2026,presents a prime opportunity for both business owners and investors looking to secure ahigh-potential asset in a rapidly growing area. Positioned in a high-traffic location with excellent visibility, the plaza offers convenient access to Highway 401, surrounding residential subdivisions, major industrial facilities, and key employment hubs-driving strong customer flow and long-term rental demand. This unit also can be setup for Dental Clinic, Medical Office, Pharmacy, Medical Laboratory and physiotherapy services within the plaza, providing a unique competitive advantage. TMI is yet to be finalized. Don't miss this outstanding opportunity to establish your practice or expand your investment portfolio in one of Woodstock's most strategic commercial locations.