



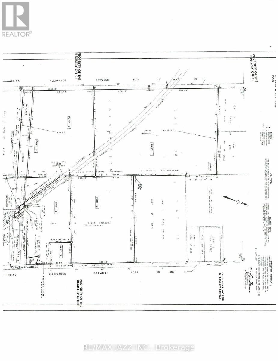
Exceptional 90-acre property offering a rare combination of workable land and mature hardwood bush. Approximately 56 acres are currently workable, with the balance in hardwood forest providing privacy, natural beauty, and recreational opportunities. Featuring approximately 980 feet of road frontage and a barn on the property, this parcel is well suited for hobby farming or investment. Ideally located close to Ganaraska Forest, offering miles of trails for hiking, horseback riding, mountain biking, and snowmobiling. Also just minutes to Rice Lake for boating and fishing, and Brimacombe Ski Hill for winter activities. Convenient access to Highways 407, 115, and 401 makes commuting easy while still enjoying a peaceful rural setting. A versatile property with excellent potential for agricultural use, recreation, or long-term investment.