

















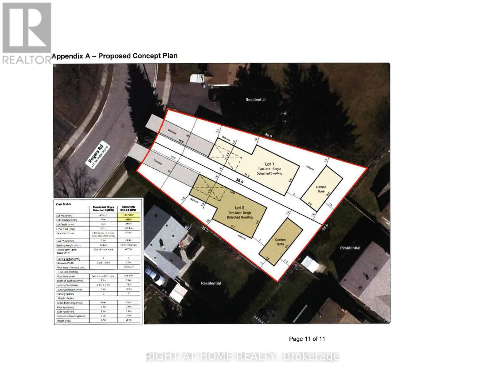
move-in ready, new paint on main floor; Large shed and separate workshop, Basement windows above grade. Sold Under Power Of Sale Therefore As Is/Where Is Without Any Warranties From The Seller. However - attention builders and contractors - this is a large lot, potential for severance (severance process started already, which has been approved with a possibility of building two homes with garden suites for additional rental income - see attached proposal for severance in one of the pictures. Or... continue using it AS IS (single family home on a large lot with big mature trees). NOTE: basement has a separate hydro meter
| Room | Level | Size |
|---|---|---|
| Bedroom | Main level | |
| Bedroom 2 | Main level | |
| Living room | Main level | |
| Kitchen | Main level | |
| Pantry | Main level | |
| Bedroom 3 | Basement | |
| Living room | Basement | |
| Kitchen | Basement |