







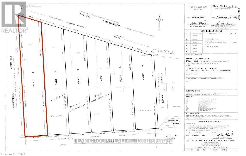
Introducing Houck Crescent, where your dream home becomes a reality. This exclusive crescent offers the perfect blend of privacy and convenience, just steps from the renowned Niagara River Parkway. Enjoy a tranquil setting with breathtaking surroundings, all while experiencing the benefits of parkway living at a fraction of the cost. Houck Crescent presents a rare opportunity to design and build a custom home tailored entirely to your vision.The expansive 2-acre lots provide ample space, whether you're envisioning a modern masterpiece, a charming cottage-style home, or a luxurious retreat. Added convenience comes with municipal water available to the properties, along with the added privacy of no rear neighbours. Surrounded by nature, the area features an abundance of walking trails, perfect for peaceful strolls. For boating enthusiasts, a nearby marina offers easy access to the water with upcoming updates and improvements. Nearby highway access adds another layer of ease for commuting and travel.To make the process even more seamless, we can connect you with a trusted builder to bring your vision to life on these exceptional lots. Don't miss this rare opportunity to enjoy serene, parkway-style living while creating a home that's uniquely yours.