














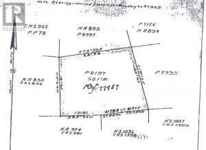
This 50.1-Acre property is located in Deloro Township. Deloro is an organized township as it is within the very large boundary of the City of Timmins. Being an Organized Township that lies within the boundary of the City Of Timmins and NOT FRONTING on a municipally maintained road means that you are restricted to building what is commonly referred to as a "hunt camp". The hunt camp can have a base no larger than 500 square feet and you cannot live in it year round. This property is accessible by Truck and then ATV/ARGO in the NON-WINTER MONTHS and by SNOWMOBILE IN THE WINTER MONTHS. This is not a private road but rather a road that has been in existence for a long time and used by many property owners in this immediate area to get to their properties. The property comes with Surface Rights Only. Tree rights and Mineral Rights are reserved to the Crown.