









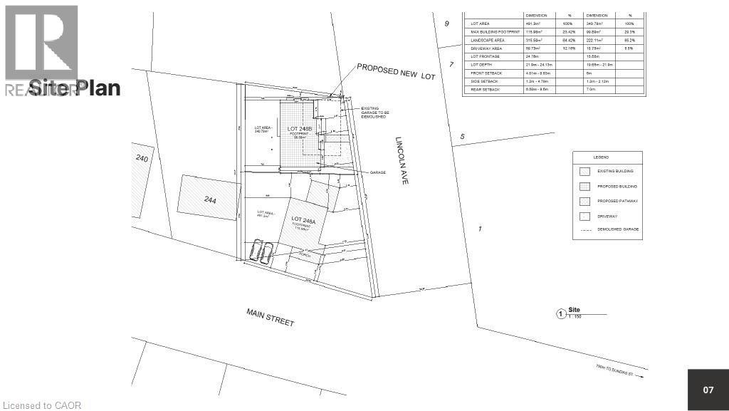
Prime R4 Low Density Residential-zoned land opportunity fronting on Lincoln Avenue in the heart of east Galt. This parcel is being offered for sale separately, with property taxes to be determined. A land severance application is currently in progress, intended to create a standalone lot. The triplex building is not included in this sale and is being offered separately through MLS, however both properties may be purchased together under separate agreement. This listing pertains only to the land, which currently includes a detached garage. The R4 zoning permits a range of residential uses, offering potential for infill development, redevelopment, or land repositioning, subject to municipal approvals. Excellent location close to downtown, transit, parks, shopping, and schools. All severance and development details are subject to municipal approval.